_________________________________________________________________
On a tip from wits zero
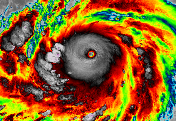
Severe Tropical Cyclone Phailin has arrived in India. It is now the size of India!
—
—
Photo

Cyclone #Phailin an hour away from landfall, officials tell @BBCSanjoyM in eastern India http://bbc.in/1g8x5nY pic.twitter.com/t5reENFPjv
—
Here’s a look at how Cyclone #Phailin is progressing (Source: IMD) pic.twitter.com/SuJGedOiKO“
—
—
…
…
…
—
…
#CyclonePhailin: In the first reported deaths, 2 people were killed by falling trees, 1 when her mud house collapsed http://timesofindia.indiatimes.com/cyclone-phailin-in-odhisha-andhra-pradesh/liveblog/24035906.cms …
…
FYI: Live: Cyclone Phailin 80 km off Odisha, death toll goes up to 6 – Firstpost: AFPLive: Cyclone Phailin 80 … http://bit.ly/1ccxsJb
—
—
PHOTOS: Cyclone #Phailin – The Times of India
—
—
—
Bhubaneswar airport shuts as wind & rain become heavier, tweets @NorthAndrew, who’s covering Cyclone #Phailin pic.twitter.com/31ho05AX2U
—
As Cyclone Phailin approaches, over three lakh evacuated in Odisha – http://www.ennaachi.com/cyclone-phailin-approaches-three-lakh-evacuated-odisha/ … pic.twitter.com/HOizNnBasv
—
The Indian Express
LIVE: Cyclone Phailin 150 kms away from Odisha, 18 fishermen trapped in sea
Express News Service : New Delhi, Sat Oct 12 2013, 15:36 hrs
Odisha and Andhra Pradesh braced for widespread devastation as a cyclone as big as India itself roared towards the coast, on course for landfall near Gopalpur in Odisha’s Ganjam district.
3.30pm:Bracing for cyclone Phailin, nearly 2,000 personnel of the National Disaster Response Force in Andhra Pradesh, Odisha and West Bengal.
According to NDMA authorities, 29 teams of NDRF have been deployed along with rescue equipment in Odisha. In Andhra Pradesh, 15 teams have been deployed and four additional teams are also being rushed from Tamil Nadu, while seven teams have been deployed in West Bengal.
3.20pm:In view of Cyclonic storm Phailin Cabinet Secretary directs all agencies to be on full alert to minimize damage, and loss of life and property.
…
1.00pm: 18 fishermen were reported to be trapped on a trawler near Paradip in the sea. However, they could not be rescued as the sea was extremely rough.
—
The Hindu – Chennai @ChennaiCentral Cyclone #Phailin: A picture of Odisha by photographer KR Deepak – pic.twitter.com/2OT9hnKkr2
—
Anna Bhaskaran @BhaskarGogoi Navy deploys additional personnel for #Phailin pic.twitter.com/U4vfY17kGD
—
…
—
Video:
—
—
@KapilSharmaK9 Rqst to RT this. EMERGENCY list of contact nos. for Odisha. #Phailin. pic.twitter.com/8lRVIekoLt
—
ashok pradhan @okpradhan A woman is already dead in Bhubaneswar after a tree fell on her during heavy rain hours before cyclone Phailin makes landfall.
…
Tavleen Singh Aroor @Tavysingh In Bhubaneswar. Heavy winds, enough to shake the car taking me from the airport. Many shops shut. Odisha bunks down for #Phailin.
—
…
…
Cyclone Phailin @CyclonePhailin
You can see me now #Phailin pic.twitter.com/EXJYT7MbZv
—
India: 35 million people in the path of Super Cyclone Phailin http://fb.me/zJjx6OXK
…
…
Vancouver Desi @VancouverDesi
Heavy rain lash Odisha as cyclone Phailin advances http://theprov.in/19x7hfF
Heavy rain lash Odisha as cyclone Phailin advances
Bhubaneswar, Oct 12 (IANS) High wind and heavy rain lashed the coastal belt of Odisha Saturday disrupting normal life, as the severe cyclonic storm Phailin advances from the Bay of Bengal, and is expected to make landfall by Saturday evening, officials said.
Authorities continued their efforts to evacuate people from the low-laying areas of the coast to the cyclone shelters and high rise buildings. The weatherman predicted that the speed and intensity of the wind and rain are likely to grow stronger during the day.
Special relief commissioner Pradeep Kumar Mohapatra said about three lakh people have been already moved to safer places, and more people are likely to be shifted during next couple of hours.
He told IANS the wind speed was picking up in several areas. In Ganjam, it has reached 60-80 km/h and the sea was witnessing high tide.
…
—
From the CNN Weather Center, I’ll be here today with @asiehcnn covering Cyclone #Phailin as it heads for #India. pic.twitter.com/ob7oJCZj6j
…
…
…
…
Cyclone #Phailin, currently half India’s size, expected to hit eastern India Saturday evening. pic.twitter.com/WyUliwlHyB http://qz.com/134028
…
8.05 am: Warning Signal No 10 (great danger) raised at Gopalpur and Puri ports. Warning Signal No 9 at Paradeep & Chandabali. #Phailin
—
Accu.Weather.com
Phailin on Course to Devastate India This Weekend
By Eric Leister, Meteorologist
October 11, 2013; 4:53 PM
India is expected to suffer catastrophic impacts from Severe Tropical Cyclone Phailin in less than 12 hours.
Destructive winds well over 160 kph (100 mph) and flooding rain of at least 100-200 mm (4-8 inches) is expected across a wide area. There will be a crippling storm surge of 4-6 meters (14-20 feet), as well as wind gusts to 250 kph, near the landfall point of Phailin which is expected across northeastern India Saturday morning EDT.
Anyone residing in the states of Orissa or eastern Andhra Pradesh is encouraged to take proper precautions and prepare for life-threatening conditions.
For more: Phailin on Course to Devastate India This Weekend
Read also:
1 Cyclone half of India’s size hits today
2 Despite cyclone fear, migrant workers head home for puja
3 Cyclone Phailin LIVE: Scouting winds pick up speed, landfall at 5.30 pm
—
Huffington Post
Leopards In Human Habitats: Big Cats Live Near Villages In India, Study Indicates
Leopards In Human Habitats: Big Cats Live Near Villages In India …
…
Rediff.com.news
Living with leopards in Incredible India
|
|
![]() |
Vidya Athreya’s tracking of a leopard’s stunning journey through Maharashtra shattered set notions about wild animals and is being made into a film starring Urmila Matondkar. Sumit Bhattacharya meets the pioneering wildlife scientist.
…
In 2009, she fitted the first radio-transmitter collar on a leopard in the state.
The elderly male cat, which she named Ajoba (grandfather in Marathi), was released in the Malshej Ghat forests. He straightaway started towards Mumbai, about 150 km away.
Over two-and-a-half months, Ajoba walked through villages, towns and the city — crossing railway stations, industrial areas and swimming across a huge creek — before settling down in the Sanjay Gandhi National Park that the Maximum City eats into a little bit more every day.
He never attacked a human being; very few people saw him. He was eventually run over by a truck on the Mumbai-Ahmedabad highway.
The cat’s journey is being made into a Marathi film by National Award-winning director Sujay Dahake.
In Ajoba, Urmila Matondkar plays the wildlife scientist.
Living with leopards in Incredible India – Rediff.com News
—
Thanks Harcharan Singh for my first Post!
THE SURROGATE MOTHER INDUSTRY

—
“There is a need to regulate the sector,” said Dr. Sudhir Ajja of Surrogacy India, a Mumbai-based fertility bank that has produced 295 surrogate babies – 90 percent for overseas clients and 40 percent for same-sex couples – since it opened in 2007.
NBC News
India seeks to regulate its booming ‘rent a womb’ industry
Sep. 30, 2013 at 10:57 AM ET
Dressed in a green surgical gown and cap, British restaurateur Rekha Patel cradled her newborn daughter at the Akanksha clinic in northwestern India as her husband Daniel smiled warmly, peering in through a glass door.
“I can’t believe we have our own child at last,” said Patel, 42, gazing in wonder at 5-day-old Gabrielle.
“We are really grateful to our surrogate mother who managed to get pregnant and kept our little daughter healthy. She gave nine months of her life to give us a child.”
It is the perfect promotion for India’s booming surrogacy industry that sees thousands of infertile couples, many from overseas, hiring the wombs of local women to carry their embryos through to birth.
But a debate over whether the unregulated industry exploits poor women prompted authorities to draft a law that could make it tougher for foreigners seeking babies made in India.
…
BIRTH OF A MARKET
India opened up to commercial surrogacy in 2002. It is among just a handful of countries – including Georgia, Russia, Thailand and Ukraine – and a few U.S. states where women can be paid to carry another’s genetic child through a process of in-vitro fertilization (IVF) and embryo transfer.
The low-cost technology, skilled doctors, scant bureaucracy and a plentiful supply of surrogates have made India a preferred destination for fertility tourism, attracting nationals from Britain, the United States, Australia and Japan, to name a few.
http://www.nbcnews.com/health/india-seeks-regulate-its-booming-rent-womb-industry-8C11294470#
———————————————————————
BBC Breaking News




The Huffington Post | By Sara Gates Posted: 03/21/2013 6:50 pm EDT | Updated: 03/21/2013 6:54 pm EDT